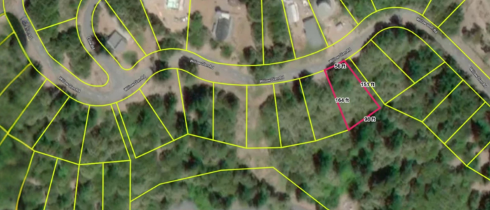
11,930 sq ft – Residential Lot, Paved Road Access, Electricity
Escape to the breathtaking beauty of Shelter Cove with this 11,930 sq ft residential lot, offering stunning ocean views and a secluded retreat surrounded by nature. With paved road access and electricity available, this .27-acre property is perfect for building your dream home, a vacation getaway, or an Airbnb investment. Located in a peaceful neighborhood with beautiful homes, this lot provides the perfect balance of privacy and accessibility, just minutes from the beach.
$300.00 Down Payment, $300.00 a month for 36 Months
Cash Now Discounted Wholesale Price: $SOLD
APN 110-091-018-000 Humboldt County, CA
GPS Coordinates: 40.034508, -124.047255
Property Address: 538 Willow Glen Rd, Shelter Cove, Whitethorn, CA 95589
Legal Description: LT 74 BLK 205
Lot Size: 0.27
Lot Size: 11,930 sq ft
Type: Residential Vacant Land
Access: Paved Road
Electricity: Overhead
Property Taxes are current.
There is no HOA fee.
Doc Fee: $199.00
This prime piece of land is a fantastic investment opportunity, with property values steadily increasing in the area. Whether you’re looking to buy and hold or start your coastal dream project now, this parcel offers unmatched potential. Enjoy endless outdoor adventures with nearby hiking trails, boating, and breathtaking scenery in every direction. Don’t miss your chance to own a piece of California’s Lost Coast at an unbeatable price!
Want to Buy! Call, Text or email us! or visit our website thelandxpress.com
Text/call 909 341 1509
email: thelandxpress@gmail.com
www.thelandxpress.com






