5 AC Ranch for sale in the Rural area of Palmdale, CA, Dirt road access, Approximately 20 miles from Palmdale
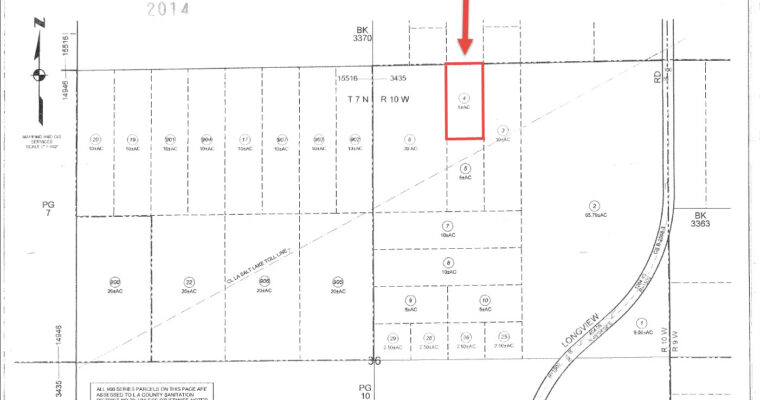
APN 3372-009-004 Los Angeles County, CA
Escape the hustle and bustle and immerse yourself in the serene beauty of rural Palmdale, California, with this stunning 5-acre parcel for sale. Nestled just 5 miles from Lake Los Angeles, this picturesque property offers the perfect blend of tranquility and accessibility. Enjoy dirt road access and breathtaking views of the San Gabriel Mountains, all within easy reach of Palmdale, Lancaster, and the cultural events of downtown Los Angeles.
$550.00 Down Payment, $550.00 a month for 60 Months
Cash Now Discounted Wholesale Price: $SOLD
APN 3372-009-004 Los Angeles County, CA
GPS Coordinates: 34.659766, -117.886785
Property Address: AVE L/136 STE, Lake Los Angeles, CA 93535
Legal Description: W 1/2 OF NE 1/4 OF NW 1/4 OF NE 1/4 OF SEC 36 T 7N R 10W
Lot Size: 5 AC
Access: Dirt Road Access
LAND USE: 425
ZONING: LCA21*
Use Code: 580V
Property Taxes are current.
There is no HOA fee.
Doc Fee: $199.00
Embrace Rural Living! 5-Acre Vacant Lot Near Lake Los Angeles, CA
About 5 miles from Lake Los Angeles, CA
About 15 miles from Palmdale, CA
About 15 miles from Lancaster, CA
Surrounded by opportunities for outdoor adventure, this parcel is ideally situated for those who love skiing, hiking, fishing, and mountain climbing. Explore nearby attractions such as the Gerhardy Wildlife Sanctuary, Saddleback Butte State Park, and Alpine Butte Wildlife Sanctuary, or take a short drive to Mountain High Ski Resort for a day on the slopes.
Own this 5-acre property we have for sale here. This property is a beautiful piece of raw land just 15.1 miles away from the center of the city of Lancaster.
Don’t miss out on this rare opportunity to own your own piece of paradise in Los Angeles County. Contact us today at 909-341-1509, email thelandxpress@gmail.com, or visit www.thelandxpress.com to make this dream property yours!
Want to Buy! Call, Text or email us! or visit our website thelandxpress.com
Text/call 909 341 1509
email: thelandxpress@gmail.com
www.thelandxpress.com







